Service Guide

Get Ants Extermination Service

Local contractors offer ant extermination services to eliminate infestations and protect properties from damage caused by ants.

Ants extermination services are a common consideration for property owners dealing with unwanted ant populations. If you’re noticing signs of ants around your home or business, exploring local contractors who specialize in pest control can help address the issue effectively. Many property owners seek these services to protect their investments, maintain a clean environment, and prevent potential damage caused by ant colonies. By reviewing available options in the area, you can find solutions tailored to your specific needs and ensure your property remains comfortable and pest-free.

Continuing to explore local service providers allows property owners to compare approaches and find the right fit for their situation. Whether the goal is to eliminate an active infestation or prevent future problems, connecting with experienced contractors can provide peace of mind. Keep reading to learn more about the services available in your area and how professional ant extermination can help maintain the integrity and comfort of your property.

Get Ants Extermination Service Quotes

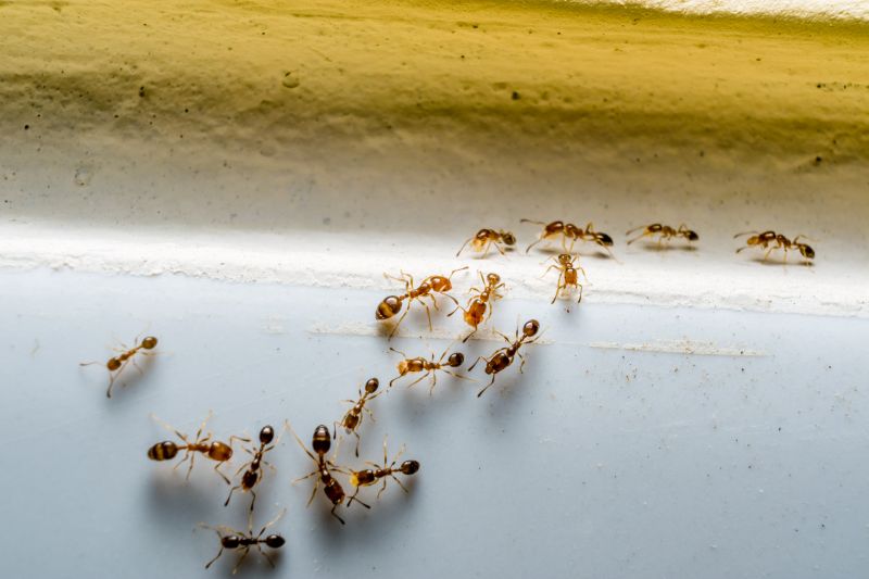
  • Ants Extermination - needed when ants have invaded a home or business and are difficult to control.
  • Ants Inspection - required when identifying the extent of an ant infestation or entry points.
  • Ants Prevention - essential for property owners seeking to avoid future ant problems.
  • Ants Treatment - necessary for eliminating active ant colonies and preventing re-infestation.
  • Ants Barrier Services - used to create a protective barrier around structures to keep ants out.
Ants Extermination Service
Ants Extermination Service
Ants Extermination Service

Ants extermination services involve identifying and eliminating ant infestations within residential or commercial properties. Professional service providers typically conduct a thorough inspection to locate ant colonies and entry points, then apply targeted treatments to eradicate the pests. These treatments may include baiting systems, dusts, or liquid solutions designed to eliminate ants at the source and prevent future invasions. The goal is to create a pest-free environment by addressing the problem comprehensively and safely.

Ant problems can cause significant frustration and inconvenience for property owners. Common issues include large ant colonies invading kitchens, bathrooms, or other indoor spaces, often contaminating food and surfaces. In addition to indoor infestations, ants can also be a nuisance outdoors, nesting in lawns, gardens, or around the foundation. Left untreated, ant colonies can grow rapidly, leading to persistent infestations that are difficult to control without professional assistance. Extermination services help resolve these issues efficiently, restoring comfort and hygiene to the affected property.

Various types of properties utilize ant extermination services, including single-family homes, apartment complexes, and commercial buildings. Homes are often the most common, especially when ants find their way inside through cracks, gaps, or poorly sealed entry points. Larger properties, such as apartment buildings or office spaces, may require ongoing pest management to keep ant populations under control. Property owners who notice signs of ants-such as trails, nests, or ant activity-are encouraged to seek help from local contractors who specialize in pest removal. These services are suitable for anyone seeking a reliable solution to an ant problem.

Ant extermination services are an effective way to address both immediate infestations and ongoing pest management needs. They help prevent damage to property, reduce health risks associated with pest contamination, and eliminate the nuisance caused by ants. Local service providers are equipped to handle different property types and infestation levels, offering tailored solutions that fit the specific needs of each property. Contacting a professional can ensure the problem is handled safely and thoroughly, providing peace of mind for homeowners and property managers alike.

The overview below groups typical Ants Extermination Service projects into broad ranges so you can see how smaller, mid-sized, and larger jobs often compare in your area.

In many markets, a large share of routine jobs stays in the lower and middle ranges, while only a smaller percentage of projects moves into the highest bands when the work is more complex or site conditions are harder than average.

Initial Inspection and Treatment - Many local pros charge between $250 and $600 for an initial ant inspection and treatment. Most routine jobs fall within this range, covering small to medium-sized homes or properties. Larger or more complex infestations can push costs higher, often exceeding $1,000.

Perimeter Pest Control - Ongoing perimeter treatments typically cost between $100 and $300 per visit. Many service providers recommend quarterly treatments, with costs varying based on property size and severity of ant activity. Fewer projects require more frequent or extensive applications, which can increase the overall expense.

Spot Treatments for Localized Infestations - Spot treatments for specific ant nests or problem areas generally range from $75 to $200. These are common for minor infestations and often involve a single visit from local contractors. Larger infestations or multiple sites can lead to higher costs.

Full Property Extermination - Complete ant extermination for larger or heavily infested properties can range from $600 to $2,500 or more. Many projects in this tier are more complex, involving multiple visits and extensive treatment plans, with fewer jobs reaching the highest end of the spectrum.

Actual totals will depend on details like access to the work area, the scope of the project, and the materials selected, so use these as general starting points rather than exact figures.

Get a Quote

Pest Control for Cockroaches - professionals use similar inspection, treatment, and prevention techniques to eliminate infestations and protect properties from pests.

Spider Extermination Services - local contractors employ comparable planning and application methods to manage spider populations and ensure safe environments.

Bed Bug Treatment Projects - these projects require detailed inspection and targeted treatments, skills shared with ant extermination services.

Termite Control Solutions - specialists utilize similar planning, inspection, and treatment tools to prevent and eradicate termite damage.

Rodent Removal Services - rodents and ants often require similar trapping, exclusion, and sanitation strategies used by pest control experts.

Bee and Wasp Nest Removal - these projects involve careful planning and specialized removal techniques akin to ant control procedures.

Ants Extermination Service

When comparing local contractors for ants extermination services, it’s important to consider their experience with similar projects. Homeowners should look for service providers who have a proven track record of handling ant infestations in residential settings. An experienced professional is more likely to understand the different species of ants, effective treatment methods, and how to address the root causes of an infestation. This familiarity can contribute to more efficient and lasting results, giving homeowners confidence that the chosen contractor knows how to manage their specific ant problem effectively.

Clear written expectations are a key aspect of selecting a reliable service provider. Homeowners should seek out contractors who provide detailed descriptions of their services, including the scope of work, treatment methods, and any follow-up procedures. Having this information in writing helps prevent misunderstandings and ensures that both parties are aligned on what will be done. Transparent communication about what to expect from the service can also assist homeowners in planning and making informed decisions about their pest control needs.

Reputable references and good communication are essential when evaluating local contractors. Homeowners are encouraged to ask for references or reviews from previous clients to gauge the quality of the service provider’s work and professionalism. Additionally, contractors who communicate clearly and promptly-whether through phone, email, or other channels-are more likely to be responsive and attentive to questions or concerns. It’s important to remember that this site introduces homeowners to local options, serving as a resource to help compare and connect with qualified service providers, rather than performing the work itself.

Get an Ants Extermination Service Quote

Property owners use Ants Extermination Service services for practical projects around their homes and businesses. This guide focuses on everyday jobs and straightforward project options.

Ants Extermination Service
Ants Extermination Service

Ants can quickly become a nuisance for property owners dealing with outdoor dining areas, gardens, or storage spaces. When ants invade a home or business, they often seek food and shelter, leading to potential infestations that are difficult to control without professional help. Local contractors specializing in ant extermination are equipped to identify the source of the problem and implement effective solutions, helping property owners restore comfort and cleanliness to their spaces.

In many cases, property owners seek ant extermination services after noticing persistent trails or unexpected ant activity inside their buildings. Whether it's a single ant sighting or a recurring issue, experienced service providers can assess the situation and recommend appropriate treatments. These local experts are familiar with common ant species in the area and can provide tailored approaches to keep these pests from returning, protecting both the property and its occupants.

Get an Ants Extermination Service Quote

How do ants typically enter homes? Ants can find entry points through small cracks, gaps around doors and windows, or openings around utility lines and pipes.

What signs indicate an ant infestation? Common signs include visible ant trails, discarded wings near windows, and the presence of ant colonies around the property.

Are there specific areas where ants tend to nest? Ants often nest in moist areas like behind walls, under floors, in soil near the foundation, or in areas with food debris.

What methods do local contractors use to eliminate ants? Service providers may use baiting, residual sprays, or barrier treatments to target and remove ant colonies effectively.

How can property owners prevent future ant problems? Keeping surfaces clean, sealing entry points, and removing food sources can help reduce the likelihood of ant infestations.

Ants Prevention Tips - Property owners can learn practical strategies to reduce ant attractants around their homes and gardens.

Infestation Inspection - Homeowners can schedule inspections to identify ant entry points and nesting sites before an infestation worsens.

Barrier Treatments - Local contractors can apply barrier methods to help keep ants away from outdoor living spaces and building foundations.

Ongoing Maintenance Advice - Property owners can receive guidance on maintaining a pest-free environment through regular upkeep and monitoring.

Ants Extermination Service

If you are thinking about Ants Extermination Service for a property, this guide is meant to help you understand the work, the typical project types, and how different options might fit your plans.

When you are ready, you can use the quote form on this page to share a few details about your project. From there, local pros can review the basics and respond with options that match what you have in mind.

Get a Quote

Ants Extermination Quotes

Our Trusted Partners
Get Green Lawn Kings
Wildlife Control Unlimited, LLC
Pestgo Exterminators